Fuel efficiency tips for drivers this winter
A winter settles in, there are some bad habits that can deplete your tank quickly as the weather gets colder.
FOX 5 WINTER OUTLOOK 2021-2022: Cold At Times, But Major Snows Unlikely
Fox 5's Winter Weather Outlook for the upcoming 2021-2022 Season
Maryland, Virginia cities prepare for worst of tidal flooding
Maryland and Virginia cities are seeing major flooding Friday, from Annapolis to Alexandria, and officials say this is only the beginning.
Heavy storms, flooding concerns Friday as severe weather moves across DC region
Heavy storms and flooding concerns Friday as severe weather moves across the D.C. region.
Sandbags distributed in Alexandria as coastal regions brace for major flooding
Sandbags are being distributed to residents and businesses in the Alexandria area who are bracing for major flooding as heavy storms move across the D.C. region Friday.
DC metropolitan area bracing for potential tidal flooding
The National Weather Service says the DMV could experience the worst tidal flooding event of the last 10-20 years.
Calvert, Harford county schools closing in anticipation of potential ‘tidal flooding’ in region
Calvert and Harford county schools both announced Thursday night that they will be closed Friday in anticipation of potential “tidal flooding” in the region.
Nor'easter: Storm lashes East Coast with heavy rain, winds and flooding
The first nor'easter of the season prompted the governors of New York and New Jersey to each declare a state of emergency.
Flood risk threatens 25% of critical US infrastructure, research shows
Flooding isn’t just a threat to our roads. A new study conducted by First Street Foundation found it threatens our police stations, fire stations, hospitals and water treatment facilities.
Video: Hail shatters Oklahoma driver’s windshield
Jake Nea was chasing storms in Roosevelt Oklahoma when his windshield was shattered by hail.
Tornadoes hit Oklahoma as severe weather sweeps across Central US
Multiple reported tornadoes caused damage in Oklahoma late Sunday, as severe weather also swept through parts of Arkansas, Kansas, Missouri and Texas.
Alabama flash flooding kills 4, swamps roadways, officials say
The deaths of four people were blamed on Alabama flooding, officials said. Flash flood warnings and watches were issued Thursday for much of the state.
Ocean drone captures video from inside hurricane for 1st time
The seafaring drone is braving Hurricane Sam in the open ocean, where it can gather and collect real-time observations.
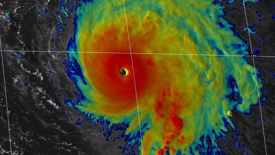
Hurricane Sam: Category 4 storm likely to bring rough surf to East Coast
Sam, still a Category 4 hurricane, is set to avoid any direct impact to the U.S. but is expected to bring big waves to the East Coast by the weekend.
Sam downgraded to Category 3 hurricane in Atlantic
Hurricane Sam remained a powerful Category 3 storm in the Atlantic Ocean on Monday, but was centered well offshore from land.
Tropical Depression Nicholas takes aim at hurricane-battered Louisiana
Tropical Depression Nicholas threatened the U.S. Gulf Coast with heavy rain and flooding as it moved over Louisiana on Wednesday.
Nicholas upgraded to hurricane as it heads for Texas Gulf Coast
The National Hurricane Center in Miami says Nicholas has strengthened to a Category 1 hurricane ahead of its expected landfall in Texas.
Ida flooding: Cleanup begins in Northeast after record-breaking rainfall
Forecasters warned of potentially dangerous hazardous flooding from Ida, but the ferocity of the storm caught the nation's most densely populated metropolitan corridor by surprise.
Maryland insurance commissioner advises flood victims to file claims as soon as possible
Many people in the DMV, are continuing to clean up from Wednesday’s severe weather that wreaked havoc and caused major flooding and damage all across.
NYC flooding: MTA bus ‘full of water’ in dramatic video
In a shocking video filmed by a passenger, water is shown flowing down the aisle of an MTA bus full of riders in New York City.



















