Potentially catastrophic Hurricane Irma has sights set on Florida
Cuba evacuated tourists from beachside resorts and Floridians emptied stores of plywood and bottled water after Hurricane Irma left at least 20 people dead and thousands homeless on a devastated string of Caribbean islands and spun toward Florida for what could be a catastrophic blow this weekend.
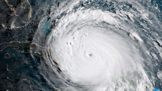
Hurricane Irma forecast zeros in on Florida
The Friday evening update on Hurricane Irma shifted the storm’s track slightly west yet again, and suggested the storm would regain its Category 5 intensity before making landfall along South Florida.
As world watches Irma, hurricanes Jose and Katia gather strength
As Category 4 Hurricane Irma commands most of the media attention this week, two other hurricanes – Jose and Katia – have been gathering strength as they threaten landfall.
‘This is as real as it gets:' Florida Keys residents warned to leave after Irma shifts west
The National Weather Service's Key West outpost could not have been clearer Friday: If you're in the Keys, get out now.
1,000 nurses needed for special needs shelters during Hurricane Irma
Governor Rick Scott put out a call for nurses to help at special needs shelters across the state Friday night.
Officials: 5.6 million people asked to evacuate FL ahead of Hurricane Irma
Irma trained its sights on Florida and officials warned more than 5 million people that time was running out Friday to evacuate ahead of the deadly hurricane as it followed a path that could take it from one end of the state to the other.
Despite hurricane, no refunds for some cruise passengers who stay behind
Hurricane Irma is not only impacting people here on land but, especially, those on the water. Cruise companies have been canceling and altering itineraries, left and right, in an effort to avoid any danger.
Troopers get creative to keep highway clear for evacuees
Troopers on the scene of a traffic nightmare took things into their own hands Friday morning. To keep hurricane evacuees moving, they used their own cruisers to clear an accident on a busy evacuation route.
Atlanta Motor Speedway opens camping sites for Irma evacuees
Atlanta Motor Speedway will open its camping facilities free of charge to evacuees seeking temporary refuge from the approaching Hurricane Irma.
Floridians escaping Hurricane Irma head to Georgia
As some Florida residents brace for Hurricane Irma, others are getting out of the sunshine state and calling Georgia home for the next few days.
Hurricane Irma takes aim at Trump's Mar-a-Lago, social media goes wild
A spate of social media posts expressing hope that Hurricane Irma trashes President Trump's Palm Beach, Fla., resort is producing a backlash of disgust and criticism.
Top 5 Worst Hurricanes to Hit The US...So Far
Every now and then we get a hurricane that makes its mark in the history books by being the deadliest, strongest, costliest, or causing the most devastation. When you combine the worst of the worst, you get a handful of storms that changed the history of the United States. Here are the Top 5.
Virginia declares state of emergency ahead of Hurricane Irma
Gov. Terry McAuliffe has declared a state of emergency ahead of the potentially catastrophic Hurricane Irma making landfall along the East Coast.
Hurricane Warning issued in South Florida ahead of powerful Hurricane Irma
Cuba evacuated tourists from beachside resorts and Floridians emptied stores of plywood and bottled water after Hurricane Irma left at least 20 people dead and thousands homeless on a devastated string of Caribbean islands and spun toward Florida for what could be a catastrophic blow this weekend.
Gov. Scott closes all Florida public schools, offices
Governor Rick Scott directed all public K-12 schools, state colleges, state universities and state offices to close Friday, September 8 through Monday, September 11.
Hurricane preparedness: What you need to have in your emergency disaster kit
If you and your family were caught in a dangerous storm, would you be ready? As Hurricane Irma is approaching the southeastern U.S., it's time to start preparing for potentially catastrophic weather.
Andrew was a monster; Irma could blow it out of the water
For an entire generation in South Florida, Hurricane Andrew was the monster storm that reshaped a region. Irma is likely to blow that out of the water.
Powerful Irma chugs westward; Florida's threat increasing
Model trends on Thursday afternoon have shown a slight shift to the west, more over the Florida peninsula. The official track from the NHC has followed suit with a slight bump westward.
Gas, water in high demand ahead of Irma
A lot of people are getting prepared for the worst -- as they should -- but officials say empty store shelves or empty gas pumps are no cause for alarm.
Cocoa Beach Pier prepares for Hurricane Irma
It's been just over a month since the Cocoa Beach Pier was repaired after storm damage, and now it's going to be under another test as pier officials and locals prepare for Irma.










